If you drive through a certain Fort Walton Beach neighborhood, the street signs read like a roll call from Victorian London: Holmes Boulevard, Watson Avenue, Moriarty Street, Baker Street, Hudson Street.
- For fans of Sir Arthur Conan Doyle’s detective stories, the pattern is obvious — Fort Walton Beach is home to a Sherlock Holmes-themed subdivision dating back to the 1950s.
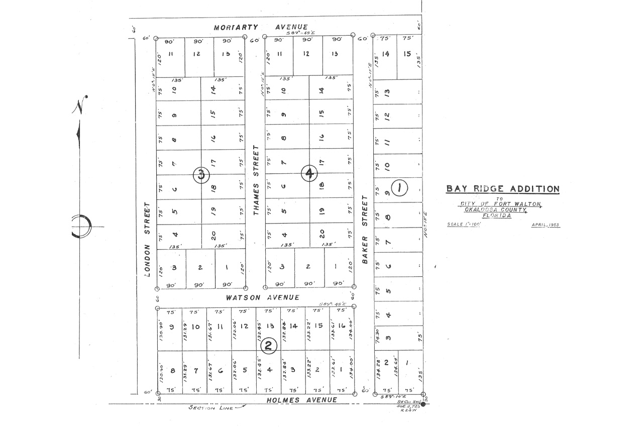
The story begins in April 1953 with the Bay Ridge Addition, a subdivision developed by The Vesta Corporation. That development included six Holmes-themed streets: Holmes Avenue (now Boulevard), Watson Avenue, Moriarty Street, Baker Street, London Street and Thames Street.
Two years later in May 1955, The Vesta Corporation expanded the literary theme with the Vesta Heights subdivision, adding Hudson Street and Gregory Avenue to the mix.

The result is eight streets named after characters and locations from the Sherlock Holmes canon:
- Holmes Avenue — the detective himself
- Watson Avenue — his friend and biographer Dr. John Watson
- Moriarty Street — his arch-nemesis Professor Moriarty
- Baker Street — his famous London address, 221B Baker Street
- Hudson Street — his landlady Mrs. Hudson
- Gregory Avenue — Inspector Gregory from the story “Silver Blaze”
- London Street — the primary setting of the stories
- Thames Place — named for London’s River Thames
The Vesta Corporation was led by Robert A. Baker Jr. and Henry Hudson (H.H.) Carnathan — two names that happen to align perfectly with Holmes references. Baker Street was the detective’s address, and Mrs. Hudson was his landlady.

Clay Carnathan, son of H.H. Carnathan, said he doesn’t recall that his father was a particular Sherlock Holmes enthusiast, but added that “street names were decided in a variety of ways back then.”
“Sometimes they’d name streets after family members, sometimes they’d pull names out of a hat, and in this case, they probably noticed the obvious connection to Sherlock Holmes that lined up with their own names,” he said.
The timing aligned with continued popularity of Sherlock Holmes in 1950s America through radio adaptations and early television productions.
Whether the developers were devoted fans of detective fiction or simply capitalized on a fortunate coincidence with their own names, they created a neighborhood where Holmes and Watson still keep watch over Moriarty…just blocks away.
THANKS: A big thank you to the Public Works team at the City of Fort Walton Beach for assisting in the historical documents and timelines.
5 Responses
Playground Daily News had an article about this decades ago. It read that Mr. Baker said he was running out of ideas for street names and asked his Civil Engineer/Surveyor, John Sims, if he would come up with ideas….he happened to be reading a Sherlock Holmes book….and the rest is history.
great detective work, Mr. Williams! 😉
Thanks for sharing! We lived on Moriarity when I was 5 and my grandparents lived on Baker.
Amazing, thanks so much for this. 😊
So ironic that you’ve written about this. I recently learned about that neighborhood after taking someone by their home. Very interesting. I’m curious about other neighborhoods now.