The Destin City Council will hold a public hearing tonight on a proposal to redesignate boat slips at a Harbor Boulevard marina, reducing public access while increasing commercial operations.
- Claude Perry Enterprises, LLC and Marler Harbor Property, LLC are requesting a Minor Development Order to change existing boat slip designations at 288D and 302 Harbor Boulevard.
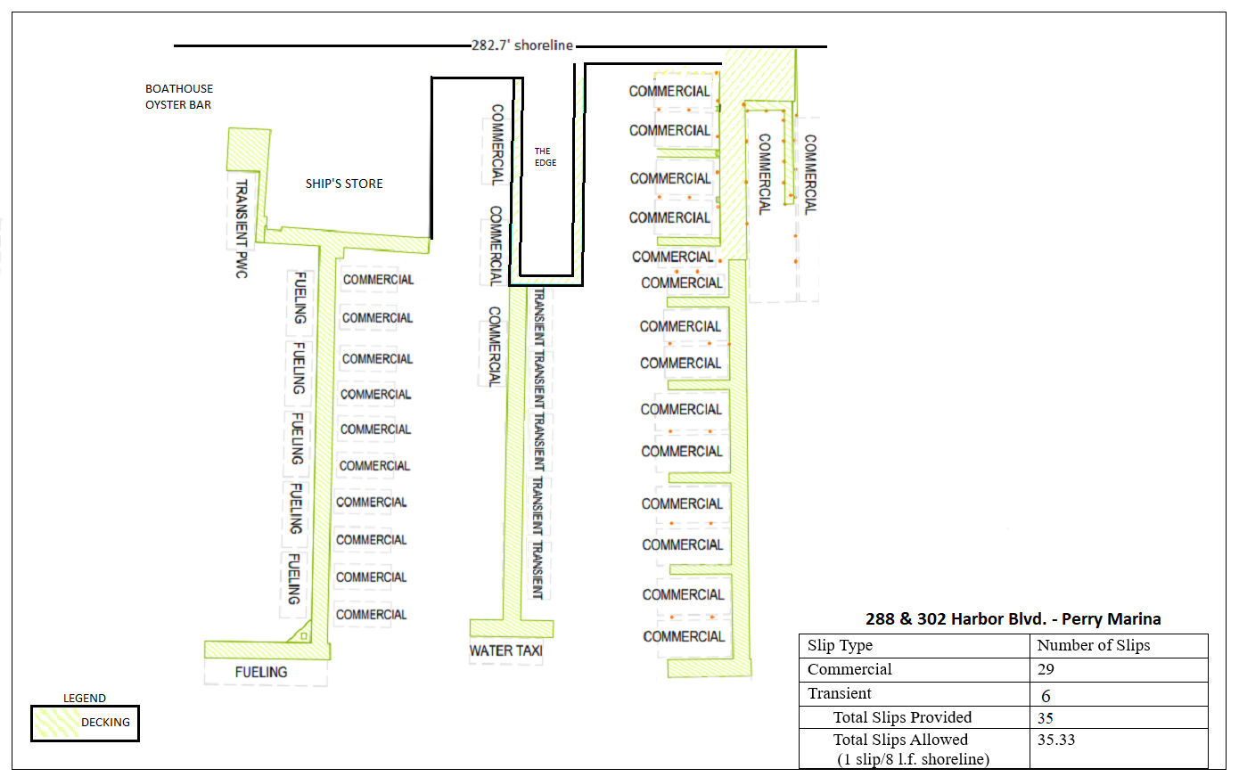
According to city documents, the proposal would decrease transient slips available to the public from 21 to 6, while increasing commercial slips from 18 to 29. The marina would also add 6 fueling slips and maintain 1 water taxi slip.
The marina currently operates 40 slips on 260 feet of waterfront (applicant states 282.7 feet in proposal graphic). According to city documents, the marina exceeds the maximum allowed slip density under current Land Development Code requirements, which permit 32.5 slips based on waterfront footage.

When the City Council originally approved the marina construction in January 2019, the project initially “failed to meet” required criteria for slip density exemptions. City documents show the applicant was required to set aside 10% of total slips for fare-carrying vessels but only allocated 5%. The project received approval with the council citing the public benefit of providing 21 transient slips.
- The former city attorney stated at the 2019 meeting that “21 of the proposed 40 slips will be available for public transient mooring.”

Meeting transcripts from December 2019 show city officials discussed eliminating or reducing Net Positive Environmental Benefit fees for the marina based on the public access it provided. Council members calculated the value of the transient slips and determined the public benefit outweighed the impact fees.

According to city documents, the marina operates under legal non-conforming status because the Land Development Code exemption that originally allowed the higher slip density was removed in February 2020. City staff notes indicate the current proposal would constitute an expansion of a legal non-conformity, which is typically prohibited under city code.
- City documents state the Comprehensive Plan requires tourist commercial development in the South Harbor Mixed Use area to “be designed to promote convenient public access to the planned Harbor Boardwalk” and preserve the area “as a world-class fishing Village open to the public.”
The applicant submitted a shared parking analysis showing the marina would require 125 parking spaces during peak times, with 153 spaces currently provided on site, according to city documents.

According to city staff, under the proposed changes, the marina would meet the previously required 10% allocation for fare-carrying vessels while maintaining the minimum transient vessel requirement, provided at least two transient vessels remain unrented.
The public hearing is scheduled for tonight’s City Council meeting at 6pm.
3 Responses
What time is this public meeting tonight please.
Reducing public access to another area once again.
What a joke. The city council doesn’t care about harbor access for locals. It’s all about control. So very sad.